2025.10.6
今日は「大吉」の
とっても運が良い日らしい
そんな日には
悪いものを落とす
新しい事を始めるのに良いらしい
ので3つの事を決めました✨️
シミ取りに行くww
ある日突然
鼻の上に5mm程度のシミができてしまい
先日も美容院で
カラーがついたって
タオルで取ろうとしてくれたら
シミだったとか
ちょっと気になる位置だったので
今回紹介して貰って
レーザー治療してきました。
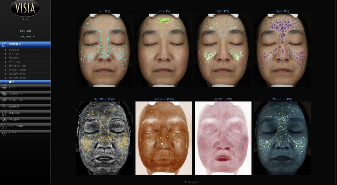
最近すごいですね。
自分の顔のシミとかシワとかが
数値で現れるんです!!

Screenshot
これがLINEで自分のフォルダーに
入っているんですよ。
システムがすごくって感動しました✨️
しかもこれ無料です。
結果的には平均が50%と言われる中
ほぼ80%以上の肌質で
合格もらいました✨️
ブログも2年目になりました
毎日ブログを始めて2年。
これを沖縄の飲食店さんに特化した内容に振り切る事を
決めました!
新しいタイトルは
「沖縄の小さな飲食店をカエル!
店主のミカタになる集客・経営ヒント集」
そしてこれまで接客の話もしてきた内容は
noteに書き記していく事にしました。
という事でnoteを始めました^^!

noteを始めます|kaerucompany
自己紹介 はじめまして。 飲食店コンサルタントカエルカンパニーの結城です。 今日10月6日は運勢が「大吉」らしく そんな日にかねてから悩んでいた一大決心をしました! それは・・・ これまで約2年間毎日書いてきたブログ これを沖縄の飲食店さん...
まだ使い方がわかってなく
シンプルな記事になっていますが
これから書き溜めていきます。
なので、このブログもこんな
日常の日記なのは今週で終わります。
今後ともよろしくお願いします。
